Last Updated: 2025-08-26

165 Courtland Avenue East Condos

1200 Fischer-Hallman Road, Kitchener, ON

Price TBA

Overview

icon Occupancy:
tba
icon Suites:
313
icon Storeys:
34
icon Developer:
N/A

Pricing and Incentives

Price Range
1 Bed Starting From Register Now
2 Bed Starting From
Price Per Sqft
Avg Price Per Sqft
Pre-Con Avg Price Per Sq Ft
Deposit Structure

About 165 Courtland Avenue East Condos Development

1200 Fischer-Hallman Road Condos is a new condo pre-construction phase, located at 1200 Fischer-Hallman Road, Kitchener, ON. 1200 Fischer-Hallman Road Condos offer modern living in Country Hills West. This project’s estimated completion date is still unknown.

Key Takeaways

  • 1200 Fischer-Hallman Road Condos is a new 35-storey development in Country Hills West, offering a variety of unit sizes and a community-centric living experience.
  • The project includes luxury amenities like fitness centers, rooftop lounges, and coworking spaces, designed to foster interaction and convenience among residents.
  • Construction is progressing well, with a completion date expected in early 2025, featuring 313 spacious residential units and additional commercial spaces.

Project Overview

The 1200 Fischer-Hallman Road Condos is a new residential development designed to enhance urban living with its modern aesthetics and high-quality accommodations. Situated in the desirable Country Hills W neighbourhood, it offers occupants a vibrant community atmosphere that blends seamlessly into the local area.

This development features a 35-storey tower that boasts a variety of unit options to cater to diverse lifestyles. Whether you’re looking for a cozy one-bedroom or a spacious three-bedroom unit, the project aims to meet your needs with its sophisticated design and thoughtful planning.

Occupants will find themselves part of a community that values quality living and modern convenience. The project’s integration into the local area ensures that it not only enhances the existing neighbourhood but also offers updates on a refreshing perspective on urban living.

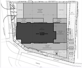
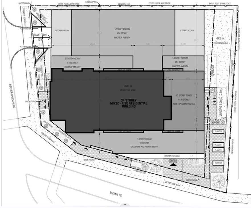
Site Plan and Design

The architect’s vision for the 1200 Fischer-Hallman Road Condos emphasizes the creation of luxury apartments that harmonize with the existing neighbourhood. The site plan includes shared spaces like fitness centers, rooftop lounges, and coworking areas, all designed to enhance occupants’ comfort and convenience.

Designed to foster community interaction, the development gives occupants a sense of belonging within the larger area, surrounded by a vibrant atmosphere. Imagine spending your evenings in a beautifully designed rooftop lounge, enjoying the company of neighbours, or getting in a quick workout before starting your day in the state-of-the-art fitness center.

These amenities are more than just features; they are integral parts of the living experience. The meticulous planning ensures that every aspect of the building contributes to a cohesive and engaging living environment.

From the layout of the apartments to the accessible shared spaces, the design caters to the modern urbanite’s need for community and comfort. These plans reflect a commitment to quality and thoughtful design.

Building Specifications

The proposed condominium at 1200 Fischer-Hallman Road will consist of 34 floors with a total of 313 residential units, making it a prominent addition to the Country Hills W area. Originally planned for 323 units, the adjustment to 313 units ensures more spacious and comfortable living areas for occupants.

Standing at a height of 104.7 meters, the building features:

  • Two towers: one with 14 storeys and the other with 22 storeys
  • A four-storey podium elevating the towers
  • A ground-floor commercial space measuring 312 square meters, suitable for retail or dining establishments

This design not only provides breathtaking views but also incorporates functional commercial areas. With underground parking and additional spaces within the podium, occupants will have access to 394 parking spaces distributed across four levels of indoor facilities.

This convenience is coupled with a rooftop area and an enclosed pavilion situated between the two towers, offering serene spaces for relaxation and socialization. The residential complex includes a total of 373 units, featuring layouts of one, two, and three bedrooms to accommodate various lifestyles.

Thoughtful design combined with robust amenities makes this development a standout choice for anyone seeking upscale urban living.

Developer Background

Understanding community needs is at the heart of any successful development, and the team behind the 1200 Fischer-Hallman Road Condos in Kitchener has owned this principle. Early engagement with local authorities has streamlined regulatory approvals, ensuring smooth and efficient building progression.

Transparency and open communication are essential for building trust with community stakeholders. Incorporating community feedback into the building planning has allowed the developers to address concerns and garner local support, making the development a collaborative effort that values information.

Assessing the socioeconomic impacts of the building, including job creation and effects on local quality of life, further demonstrates the developer’s commitment to enhancing the area. This holistic approach ensures that the development not only meets the needs of its occupants but also positively contributes to the broader community.

Location Advantages

Country Hills West offers a strategic location near major shopping centers like Deerfoot City and Sunridge Mall, providing occupants with a wide range of retail options within walking distance. This convenience is a significant advantage for those who value having amenities close at hand.

The area boasts a diverse culinary scene with various restaurants catering to different tastes, making it easy for occupants to enjoy a variety of dining experiences without traveling far. Additionally, the well-served public transport system ensures that commuting to downtown Calgary is simple and efficient.

With many local attractions, parks, and recreational spaces nearby, occupants can enjoy an active lifestyle while remaining close to home. It is an ideal location for those seeking convenience and a vibrant lifestyle in a well-connected neighbourhood.

Construction Timeline

The construction of the 1200 Fischer-Hallman Road Condos has made substantial progress since the beginning of ground breaking, with visible advancements in site preparation and foundational work. Key milestones achieved include the completion of the underground parking structure and the current work on the building’s framework.

The expected completion date for the entire development is set for early 2025, with specific phases anticipated to finish by late 2024. Currently, the development is in the initial phases, focusing on exterior structural work and utility installations. This timeline ensures that potential occupants can look forward to moving into their new homes soon.

Resident Amenities

Occupants of the 1200 Fischer-Hallman Road Condos will benefit from a range of amenities designed to enhance their living experience. Car-sharing services and subsidized public transit passes will improve mobility, making it convenient to navigate the city.

Concierge services will add a layer of security and convenience, ensuring that occupants’ needs are promptly addressed.

The site plan includes:

  • Secure and well-organized parking facilities with EV charging stations, catering to the needs of modern occupants.
  • Rooftop areas atop the podium levels offer spaces for relaxation and social gatherings.
  • Pet-friendly amenities such as pet spas and dog parks to attract pet owners, making the development a welcoming place for all.

Dedicated coworking spaces will provide occupants with quiet areas for productivity and remote work. The inclusion of kids’ amenity spaces caters to families, providing safe and engaging areas for children.

In-unit amenities like smart home technology and gourmet kitchens emphasize quality and modern living, ensuring that occupants enjoy a luxurious lifestyle.

Summary

The 1200 Fischer-Hallman Road Condos offer a unique blend of luxury, convenience, and community. From the modern design and high-quality accommodations to the strategic location and extensive amenities, this development provides everything needed for an upscale urban lifestyle.

The thoughtful planning and attention to detail ensure that occupants will enjoy a harmonious living experience. As you consider your next home, think about the benefits of living in a place that not only meets your needs but also enhances your lifestyle.

The 1200 Fischer-Hallman Road Condos are more than just a place to live—they are a community waiting to welcome you. Don’t miss the opportunity to be part of this exciting development.

Frequently Asked Questions

How tall is the 1200 Fischer-Hallman Road Condos building?

The 1200 Fischer-Hallman Road Condos stand at 104.7 meters tall with 34 floors. Pretty impressive, right?

What types of units are available in the development?

You’ll find one, two, and three-bedroom units in the development, perfect for different lifestyles and needs.

What amenities are available for residents?

You’ll find a ton of cool amenities like car-sharing and concierge services, secure parking with EV charging, rooftop hangout spots, pet-friendly areas, coworking spaces, and even gourmet kitchens in your unit. It’s all about making your life easier and more fun!

When is the expected completion date for the project?

The development should wrap up by early 2025, with some phases done by late 2024.

What makes Country Hills West a desirable location?

It is a great spot because it’s close to shopping, has tasty dining options, and offers excellent public transport along with fun local attractions. It’s definitely a place where you can enjoy a convenient and vibrant lifestyle!

Find out more pre-construction condos in Kitchener.

Read More

Precondo Reviews

0
Pricing
0%
Location
0%
Builder
0%
Leave Your Reviews Here

Your email address will not be published. Required fields are marked *


Pricing
Location
Builder

*

Precondo provides a detailed selection of new and pre-construction properties. Although we strive for accuracy, we are not liable for any errors or omissions in our content, nor for how it is used. Information is for reference only and may change without notice.

Reveal Floor Plans & Pricing

Instant Price List & Sales Info Package

  • Hidden

Map Location

Book an Appointment